分譲地
- 土地概要 -
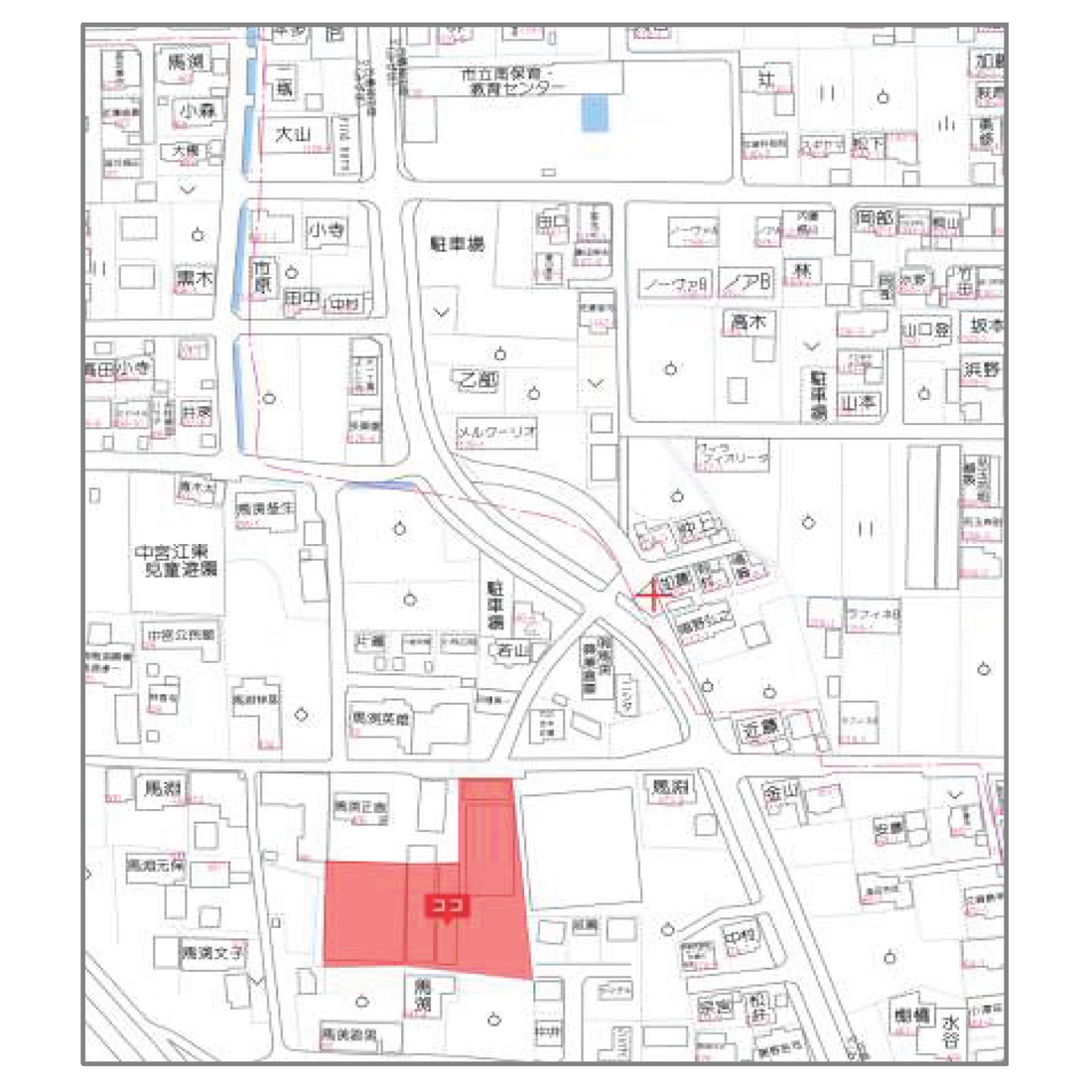
- 所在地
-
- 地目
- 宅地
- 用途地域
- 第一種中高層住居専用地域
- 建ぺい率
- 60%
- 容積率
- 200%
- 接道
- 開発道路6m 北側道路4m
- 交通
- 樽見鉄道(横屋駅)徒歩16分
- 設備
- 上水道(加入金121,000円)
・浄化槽 ・中電 ・プロパンガス - 学校
- 南小学校(徒歩7分)
- 総区画数
- 8区画
- 販売区画数
- 8区画
- 取引態様
- 売主
- 手数料
- なし
- 備考
- < 建築条件付売地 >
この土地は、土地売買契約後3ヶ月以内に当社と建物の建築請負契約を締結す
ることを条件に販売します。この期間内に建築請負契約を締結されなかった場合
には、土地売買契約は白紙となり、受領した手付金等の土地代金は全てお返し
します。 - 土地資料
- ダウンロード(PDF)





